• 385 Bullumwaal Road, Wy Yung
  • 385 Bullumwaal Road, Wy Yung
  • 385 Bullumwaal Road, Wy Yung
  • 385 Bullumwaal Road, Wy Yung
  • https://images.listonce.com.au/listings/385-bullumwaal-road-wy-yung-vic-3875/273/01680273_floorplan_01.gif?mDTCDh54WG8

385 Bullumwaal Road, Wy Yung

City Fringe Development Opportunity

$2,585,000
Land
Residential
Sold

Share this property

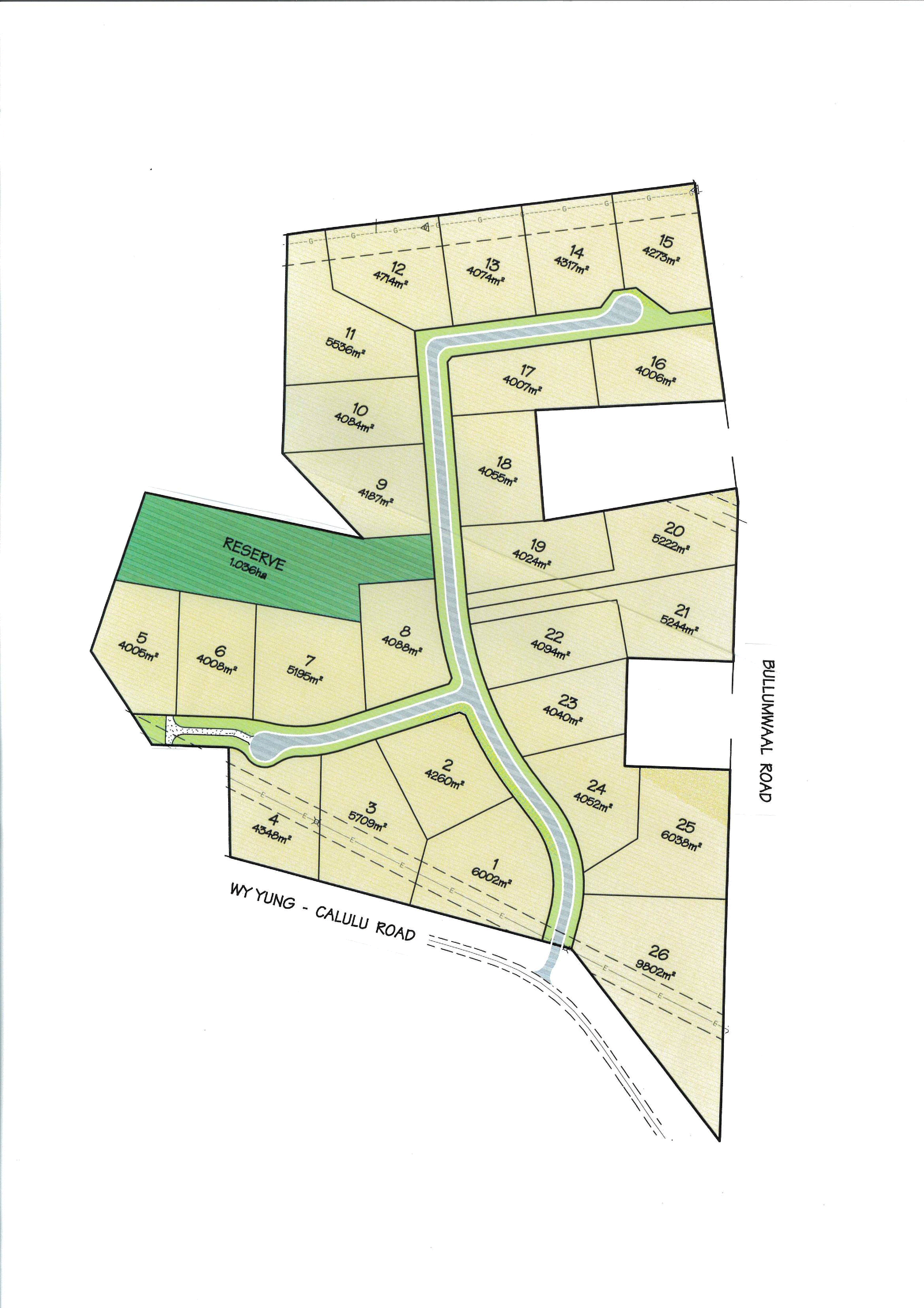
Located just 5 minutes from the Bairnsdale CBD, we present for your consideration this impressive development site, with permit in place for a 26 lot subdivision.

The zoning is Low Density Residential (LDRZ), with the proposed lot sizes ranging from 4,100 square meters to 9,800 square meters.

The topography, views and proximity to town will ensure the successful future of this project, with demand for blocks in this market segment continuing to be strong.

A further 14.4 Ha (35 acre) parcel adjoining this site is also available, with the same zoning and suitable for future development. The address of this parcel is 38 Wy Yung Calulu Road Wy Yung.

Comprehensive details are available upon request.

For enquiries in the first instance, please contact Warren Meade on 0412 981 531.

Property Details:

Land Size: 15 Ha (37 acres) approx.

Zoning: Low Density Residential (LDRZ).

Services available: Power and Town Water.

Possession: Immediate vacant possession available if required.

Located just 5 minutes from the Bairnsdale CBD, we present for your consideration this impressive development site, with permit in place for a 26 lot subdivision.

The zoning is Low Density Residential (LDRZ), with the proposed lot sizes ranging from 4,100 square meters to 9,800 square meters.

The topography, views and proximity to town will ensure the successful future of this project, with demand for blocks in this market segment continuing to be strong.

A further 14.4 Ha (35 acre) parcel

...

Contact agent

If you require more information please complete the following details

The agent below will be notified once the form is submitted.

Mortgage calculator

Stamp duty

Location